ศุลกากรจีนสกัดกั้น ‘แมลงสาบ’ พันธุ์ใหม่ ซุกไม้ซุงจากฝรั่งเศส

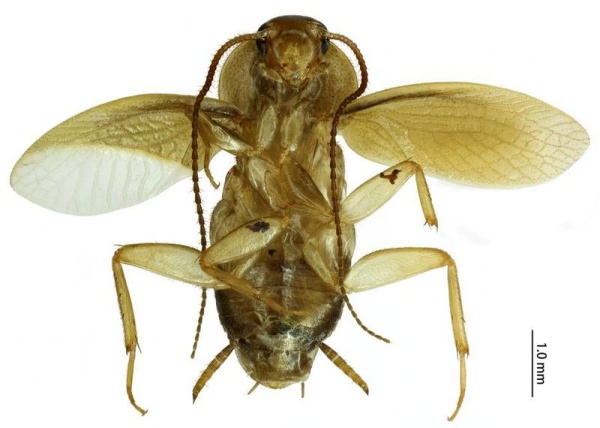
เมื่อไม่นานนี้ สำนักงานศุลกากรท่าเรือจงซาน เมืองจงซาน มณฑลกว่างตง (กวางตุ้ง) ทางตอนใต้ของจีน เปิดเผยว่าแมลงสาบตัวหนึ่ง ซึ่งถูกตรวจพบในชุดไม้ซุงที่ขนส่งมาจากทวีปอเมริกาใต้ จัดเป็นแมลงสาบสายพันธุ์ใหม่
รายงานระบุว่าสำนักงานฯ ตรวจพบแมลงลักษณะคล้ายแมลงสาบ ขณะตรวจสอบไม้ซุงที่นำเข้าจากจังหวัดเฟรนช์เกียนาของฝรั่งเศสเมื่อเดือนพฤษภาคมปีก่อน
ผลการตรวจสอบดีเอ็นเอและลักษณะทางสัณฐานวิทยาของแมลงตัวดังกล่าวไม่ตรงกับข้อมูลแมลงสาบที่มีอยู่ และผลการวิจัยเพิ่มเติมยืนยันว่ามันเป็นแมลงสาบจากตระกูลละตินเดีย (Latindia) ที่ไม่เคยมีการบันทึกสายพันธุ์มาก่อนในจีน

ทั้งนี้ ผลการวิจัยข้างต้นเผยแพร่ผ่านวารสารชีววิทยาพาหะและการควบคุมของจีน (Chinese Journal of Vector Biology and Control)
แมลงสาบจัดเป็นหนึ่งในสัตว์พาหะที่อยู่ภายใต้การเฝ้าติดตามอย่างใกล้ชิดของหน่วยงานศุลกากร เนื่องจากมันสามารถปรับตัวได้ดี มีลูกดก และอาจคุกคามสภาพแวดล้อมทางนิเวศวิทยาและสาธารณสุขของประเทศปลายทาง
ที่มา ซินหัว



